Many of us know the famous mobile robotic probes, exploring Mars – Opportunity, Spirit, Sojourner and of course Curiosity. But have you ever think about the very first one? And have you realized that the first rover on Mars, was none of these?
Yes. The first robotic probe, which was able to move, was part of then former soviet mission called Mars-3. The mission consisted of a lander and of small rover, which was capable to move on the surface and to make some simple exploration. I have found this very nice animation below on web (the source is mentioned at the bottom):
To be honest, I very like the artwork of these two images. These pictures show us how exactly the Prop-M rover should work. But unfortunately there was a problem, which appeared almost immediately after the landing of Mars-3 lander. The mother probe – lander platform Mars-3 stopped to communicate, so the rover was not deployed on surface.
And how it was planned to work?
The Prop-M rover was planned to be placed on the surface by a robotic arm of Mars-3. The 4.5 kg rover would have moved across the surface on its two skis while connected to the lander with a 15-meter cable. The movement of the rover we can imagine as simple “steps”, for example like a small duck (image on the right).
The mission of the rover was to move around the landing platform and to make a scientific measurements every 1.5 meters. Prop-M rover was planned to be always in view of the television cameras of the mother probe – Mars-3.
Scientist planned to record the rover’s tracks in the soil with the aim to determine the material properties. It is shame that this rover was never at work. But it is true, that nobody can predict technical failures caused by the environment.
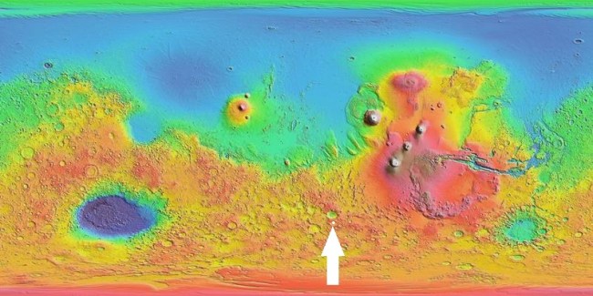
And where is Prop-M rover and the probe Mars-3 now?

Check the white dot where the arrow points. The lander Mars-3 and the very first rover Prop-M still reside in Terra Sirenum. In the silent, but beautiful world of planet Mars.
Sources:
steamcommunity – artork images of Mars-3 lander with Prop-M rover on Mars
giphy – gif image of moving rover
MOLA map pf Mars by NASA


